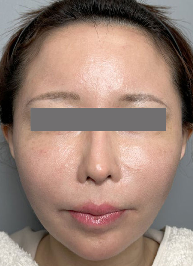
頬に脂肪注入を行ってコケた印象を改善した症例写真
- 性別
- 女性
- 診療科目
- 頬をふっくら・脂肪注入 / 顔面脂肪注入
Before
After(3ヶ月後)
Before
After(3ヶ月後)
術後の経過
■術後の経過:正面
施術前
施術前です。
1週間後
1週間後です。
1ヶ月後
1ヶ月後です。
3ヶ月後
3ヶ月後です。
■術後の経過:斜め
施術前
施術前です。
1週間後
1週間後です。
1ヶ月後
1ヶ月後です。
3ヶ月後
3ヶ月後です。
この症例と同じ診療科目の
症例写真はこちら
この症例の診療科目
ページはこちら
この施術を見た方は、以下の施術も見ています
※ 施術方法や施術の流れに関しましては、患者様ごとにあわせて執り行いますので、各院・各医師により異なります。予めご了承ください。
※ ホームページ上で掲載されている価格は税込表示となっております。
※ 当院で行う治療行為は保険診療適応外の自由診療になります。
施術方法は200種類以上
どんなお悩みでも
ご相談ください
当サイトは高須クリニック在籍医師の監修のもとで掲載しております。

担当医:小川真里奈 医師
頬骨のすぐ下の部分は凹みやすく、きりっとした印象にも見えますが、年齢を重ねることでたるみに見えてしまったり輪郭がくぼんで見えたりしてしまいます。輪郭を整えてふっくらとさせてあげることによって小顔効果、リフトアップ効果が期待できます。
ふっくらさせるのに最も手軽な方法はヒアルロン酸注入ですが、時間が経つと吸収されてしまうことがデメリットです。
自分の組織を利用した脂肪移植をすることで、半永久的な効果の持続が望めます。
脂肪採取部はお腹や太ももが一般的ですが、太ももの内側が線維が少なく良質な脂肪が採取できるため、顔に脂肪注入をするときにはそこが候補になります。
足の付け根に5mm大の傷を作り、そこから脂肪吸引で脂肪を採取します。
しっかり麻酔しますので脂肪吸引の時の痛みはほとんどありません。
採取した脂肪は不純物を取り除いて良質な脂肪細胞のみを残し、お顔の必要な場所に注入していきます。
脂肪はただ注入するのではなく、生着させることが大切です。
一旦体から完全に分離された組織は、周囲から血管が入って栄養を摂取して初めて、吸収されない生きた脂肪となります。
きちんとした方法で注入しないと生着せず吸収されてボリュームが減ってしまったり、生着しなかった脂肪が石灰化してしこりの原因になったりします。
生着率が上がるよう、丁寧に、適切な量を注入します。
術後、脂肪移植をした部分は「圧迫しないこと」が最も大切です。3ヶ月、できれば半年ほどは注入部分に必要でない圧迫はしないよう気を付けると、生着率が上がります。
患者様は頬コケが気になりヒアルロン酸を注入されていましたが、吸収されないものに置き換えることを希望されました。
ヒアルロニダーゼで一旦残っているヒアルロン酸を溶かした後、コケの気になる部分に脂肪を注入しました。
頬のコケ感が目立ちにくくなり輪郭が滑らかになっています。